Тропический циклон
Тропи́ческий цикло́н — тип циклона, или погодной системы низкого давления, которая возникает над тёплой морской поверхностью и сопровождается мощными грозами, выпадением ливневых осадков и ветрами штормовой силы. Тропические циклоны получают энергию от поднятия влажного воздуха вверх, конденсации водяных паров в виде дождей и опускания более сухого воздуха, что получается в этом процессе, вниз. Этот механизм принципиально отличается от механизма внетропических и полярных циклонов, в отличие от которых тропические циклоны классифицируются как «циклоны с тёплым ядром».
Термин «тропический» означает как географический район, где в подавляющем большинстве случаев возникают подобные циклоны, то есть тропические широты, так и формирование этих циклонов в тропических воздушных массах.
На Дальнем Востоке и в Юго-Восточной Азии тропические циклоны называются тайфунами, а в Северной и Южной Америке — ураганами (исп. huracán, англ. hurricane), по имени майянского бога ветра Хуракана. Принято считать, согласно шкале Бофорта, что шторм переходит в ураган при скорости ветра более 117 км/ч (или 30 м/c).
Тропические циклоны способны вызвать не только чрезвычайной силы ливни, но и большие волны на поверхности моря, штормовые приливы и смерчи. Тропические циклоны могут возникать и поддерживать свою силу только над поверхностью крупных водоёмов, тогда как над сушей они быстро теряют силу. Именно поэтому прибрежные районы и острова в наибольшей степени страдают от вызванных ими разрушений, тогда как районы в глубине материков находятся в относительной безопасности. Однако вызванные тропическими циклонами ливневые дожди могут вызвать наводнения значительных масштабов несколько дальше от побережья, на расстоянии до 40 км. Хотя эффект тропических циклонов на человека часто бывает очень негативным, значительные количества воды могут прекращать засухи. Тропические циклоны переносят большое количество энергии от тропических широт в направлении умеренных, что делает их важной составляющей глобальных процессов циркуляции атмосферы. Благодаря им разница в температуре на различных участках поверхности Земли уменьшается, что позволяет существование более умеренного климата на всей поверхности планеты.
Много тропических циклонов образуются при благоприятных условиях из слабых атмосферных волнений, на возникновение которых влияют такие эффекты, как осцилляция Маддена-Джулиана, Эль-Ниньо и североатлантическая осцилляция. Другие циклоны, в частности субтропические, способны обретать характеристики тропических циклонов по мере развития. После момента образования тропические циклоны движутся под действием преобладающих ветров; если условия остаются благоприятными, циклон набирает силу и образует характерную вихревую структуру с глазом в центре. Если же условия неблагоприятны или если циклон смещается на сушу, он довольно быстро рассеивается.
Структура

Тропические циклоны — относительно компактные штормы довольно правильной формы, обычно около 320 км в диаметре, с ветрами, дующими по спирали, сходящимися вокруг центральной области очень низкого атмосферного давления. За счёт силы Кориолиса ветры отклоняются от направления барического градиента и закручиваются против часовой стрелки в Северном полушарии и по часовой стрелке в Южном.
По структуре тропический циклон может быть поделён на три концентрические части. Внешняя часть имеет радиальную ширину (разность между внешним и внутренним радиусами) 30—50 км. В этой зоне скорость ветров равномерно увеличивается по мере приближения к центру циклона. Средняя часть, которая имеет название стены глаза, характеризуется большими скоростями ветра. Центральная часть диаметром 30—60 км имеет название глаза, — здесь скорость ветра уменьшается, движение воздуха имеет преимущественно нисходящий характер, а небо часто остаётся ясным[2].
Глаз

Центральная часть циклона, в которой воздух опускается вниз, имеет название глаза. Если циклон достаточно сильный, глаз большой и характеризуется спокойной погодой и ясным небом, хотя волны на море могут быть исключительно большими[3]. Глаз тропического циклона обычно правильной круглой формы, а его размер может быть от 3 до 370 км в диаметре[4][5], однако чаще всего диаметр составляет примерно 30—60 км[2]. Глаз у крупных зрелых тропических циклонов иногда заметно расширяется к верху. Это явление получило название «эффекта стадиона», — если наблюдать изнутри глаза, его стена напоминает по форме трибуны стадиона[6].
Глаз тропических циклонов характеризуется очень низким атмосферным давлением, именно здесь был зарегистрировано рекордно минимальное значение атмосферного давления на уровне земной поверхности (870 гПа (870 миллибар или 652 мм ртутного столба) в тайфуне Тип)[7]. Кроме того, в отличие от циклонов других типов, воздух глаза тропических циклонов очень тёплый, всегда теплее, чем на той же высоте за пределами циклона[8].
Глаз слабого тропического циклона может быть частично или полностью покрыт тучами, которые имеют название центрального плотного облачного покрова[9]. Эта зона, в отличие от глаза сильных циклонов, характеризуется значительной грозовой активностью[10].
Стена глаза
Стеной глаза называют кольцо плотных грозовых кучевых облаков, окружающих глаз. Здесь облака достигают наибольшей высоты в пределах циклона (до 15 км над уровнем моря), а осадки и ветры у поверхности сильнейшие. Однако максимальная скорость ветров достигается на небольшой высоте над поверхностью воды/суши (обычно около 300 м)[2]. Именно прохождение стены глаза над определённым районом вызывает наибольшие разрушения[3].
Самые сильные циклоны (обычно категории 3 или выше) характеризуются несколькими циклами замены стены глаза в течение своей жизни. При этом старая стена глаза сужается до 10—25 км, и ей на замену приходит новая, большего диаметра, постепенно заменяя собой старую. Во время каждого цикла замены стены глаза циклон слабеет (то есть ветры в пределах стены глаза слабеют, а температура глаза падает), но с образованием новой стены глаза он быстро набирает силу до прежних значений[11].
Внешняя зона
Внешняя часть тропического циклона организована в дождевые полосы — полосы плотных грозовых кучевых туч, которые медленно движутся к центру циклона и сливаются со стеной глаза. При этом в дождевых полосах, как и в стене глаза, воздух поднимается вверх, а в пространстве между ними, свободном от низких облаков, воздух опускается. Однако сформированные на периферии циркуляционные ячейки менее глубокие, чем центральная, и достигают меньшей высоты.
| Размеры тропических циклонов[12] | |
|---|---|
| ROCI | Тип |
| До 2 градусов широты | Очень малый / карликовый |
| 2-3 градусов широты | Малый |
| 3-6 градусов широты | Средний |
| 6-8 градусов широты | Большой |
| Более 8 градусов широты | Очень большой |
![]() Сравнительные размеры тропических циклонов: тайфун «Тип» и циклон «Трейси» над территорией США | |
Когда циклон достигает суши, вместо дождевых полос в пределах стены глаза в большей степени концентрируются потоки воздуха, из-за увеличения трения о поверхность. При этом значительно увеличивается количество осадков, порой достигая 250 мм в сутки[2].
Тропические циклоны также образуют облачный покров на очень больших высотах (близко к тропопаузе) за счёт центробежного движения воздуха на этой высоте[13]. Этот покров состоит из высоких перистых облаков, которые движутся от центра циклона и постепенно испаряются и исчезают. Эти облака могут быть достаточно тонкими, чтобы через них можно было видеть солнце и могут быть одним из первых признаков приближения тропического циклона[14].
Размеры
Одним из наиболее распространённых определений размера циклона, которое применяется в различных базах данных, является расстояние от центра циркуляции до самой уделённой внешней замкнутой изобары, это расстояние имеет название радиуса внешней замкнутой изобары (англ. radius of outermost closed isobar, ROCI) . Если радиус меньше двух градусов широты (222 км), — циклон классифицируется как «очень маленький» или «карликовый». Радиус от 3 до 6 градусов широты (333—667 км) характеризует циклон «средних размеров». «Очень большие» тропические циклоны имеют радиус свыше 8 градусов широты (или 888 км)[12]. Согласно такой системе мер, на северо-западе Тихого океана возникают крупнейшие на Земле тропические циклоны, примерно вдвое больше тропических циклонов Атлантического океана[15].
Другими методами определения размеров тропических циклонов являются радиус, на котором существуют ветры силы тропического шторма (примерно 17,2 м/с), и радиус, на котором угловая скорость ветра составляет 1×10−5 с−1[16][17].
Механизм

Главным источником энергии тропического циклона служит энергия испарения, которая освобождается при конденсации водяных паров. В свою очередь, испарение океанской воды протекает под действием солнечной радиации. Таким образом, тропический циклон можно представить как большую тепловую машину, для работы которой необходимы также вращение и притяжение Земли[13]. В метеорологии тропический циклон описывается как тип конвекционной системы на мезошкале, развивающийся при наличии мощного источника тепла и влаги.
Тёплый влажный воздух поднимается вверх преимущественно в пределах стены глаза циклона, а также в пределах других дождевых полос. Этот воздух расширяется и охлаждается по мере поднятия, его относительная влажность, высокая уже у поверхности, увеличивается ещё больше, вследствие чего большая часть накопленной влаги конденсируется и выпадает в виде дождя. Воздух продолжает охлаждаться и терять влагу с поднятием до тропопаузы, где он теряет практически всю влагу и перестаёт охлаждаться с высотой. Охлаждённый воздух опускается вниз до океанской поверхности, где снова увлажняется и снова поднимается. При благоприятных условиях задействованная энергия превышает расходы на поддержание этого процесса, избыточная энергия тратится на увеличение объёмов восходящих потоков, увеличение скорости ветров и ускорение процесса конденсации, то есть ведёт к образованию положительной обратной связи[19]. Для того, чтобы условия оставались благоприятными, тропический циклон должен находиться над тёплой океанской поверхностью, которая даёт необходимую влагу; когда же циклон проходит участок суши, он не имеет доступа к этому источнику и его сила быстро падает[20]. Вращение Земли добавляет конвекционному процессу закручивание в результате эффекта Кориолиса — отклонения направления ветра от вектора барического градиента[21][22][23].

Механизм тропических циклонов существенно отличается от механизма других атмосферных процессов тем, что требует глубокой конвекции, то есть такой, что захватывает большой диапазон высот[24]. При этом восходящие потоки захватывают почти всё расстояние от поверхности океана до тропопаузы, с горизонтальными ветрами, ограниченными преимущественно в приповерхностном слое толщиной до 1 км[25], тогда как большая часть остальной 15-километровой толщи тропосферы в тропических районах используется для конвекции. Однако тропосфера более тонка на более высоких широтах, а количество солнечного тепла там меньше, что ограничивает зону благоприятных условий для тропических циклонов тропическим поясом. В отличие от тропических циклонов, внетропические циклоны получают энергию преимущественно от горизонтальных градиентов температуры воздуха, что существовали до них[24].
Прохождение тропического циклона над участком океана приводит к существенному охлаждению приповерхностного слоя, как из-за потери тепла на испарение, так из-за активного перемешивания тёплых приповерхностных и холодных глубоких слоёв и получения холодной дождевой воды. Также на охлаждение влияет плотный облачный покров, закрывающий океанскую поверхность от солнечного света. Вследствие этих эффектов, за несколько дней, за которые циклон проходит определённый участок океана, приповерхностная температура на нём существенно падает. Этот эффект приводит к возникновению отрицательной обратной связи, что может привести к потере силы тропического циклона, особенно если его движение медленное[26].
Общее количество энергии, которое выделяется в тропическом циклоне среднего размера, составляет около 50—200 эксаджоулей (1018 Дж) в день[19] или 1 ПВт (1015 Вт). Это примерно в 70 раз больше потребления всех видов энергии человечеством, в 200 раз больше мирового производства электроэнергии и соответствует энергии взрыва 10-мегатонной водородной бомбы каждые 20 минут[19][27].
Жизненный цикл
Формирование

Во всех районах мира, где существует активность тропических циклонов, она достигает максимума в конце лета, когда разница температуры между океанской поверхностью и глубинными слоями океана наибольшая. Однако сезонные картины несколько отличаются в зависимости от бассейна. В мировом масштабе май является наименее активным месяцем, сентябрь наиболее активным, а ноябрь является единственным месяцем, когда одновременно активны все бассейны[28].
Важные факторы

Процесс формирования тропических циклонов все ещё не до конца понятен и является предметом интенсивных исследований[29]. Обычно можно выделить шесть факторов, необходимых для образования тропических циклонов, хотя в отдельных случаях циклон может образоваться и без некоторых из них.
В большинстве случаев, условием для формирования тропического циклона являются температура приповерхностного слоя океанской воды не менее 26,5 °C при глубине не менее 50 м[30]. Это минимально достаточная температура приповерхностной воды, которая способная вызвать нестабильность в атмосфере над ней и поддерживать существование грозовой системы[31].
Другим необходимым фактором является быстрое охлаждение воздуха с высотой, что делает возможным высвобождение энергии конденсации, главного источника энергии тропического циклона[30].
Также для образования тропического циклона необходима высокая влажность воздуха в нижних и средних слоях тропосферы. Наличие большого количества влаги в воздухе создаёт более благоприятные условия для дестабилизации тропосферы[30].
Ещё одно благоприятствующее условие — низкий вертикальный градиент ветра, поскольку большой градиент ветра разрывает циркуляционную систему циклона[30].
Тропические циклоны обычно возникают на расстоянии не менее 5 градусов широты (на Земле — 550 км) от экватора, — на этой широте сила Кориолиса достаточно сильна для отклонения ветра и закручивания атмосферного вихря[30].
И наконец, для образования тропического циклона обычно нужна уже существующая зона низкого атмосферного давления или нестабильной погоды, хотя и без циркуляционного поведения, характерного для зрелого тропического циклона[30]. Такие условия могут быть созданы низкоуровневыми и низкоширотными вспышками, которые ассоциируются с осцилляцией Маддена-Джулиана[32].
Районы формирования
Большинство тропических циклонов в мире формируются в пределах экваториального пояса (межтропического фронта) или его продолжения под действием муссонов — муссонной зоны низкого давления[33][34][35]. Районы, благоприятные для формирования тропических циклонов, также возникают в пределах тропических волн, где возникает около 85 % интенсивных циклонов Атлантического океана и большинство тропических циклонов на востоке Тихого океана[36][37][38].
Подавляющее большинство тропических циклонов формируется между 10 и 30 градусами широты обоих полушарий, причём 87 % всех тропических циклонов — не далее 20 градусов широты от экватора[39][40]. Из-за отсутствия силы Кориолиса в экваториальной зоне, тропические циклоны очень редко формируются ближе 5 градусов от экватора[39], однако это все же случается, например с тропическим штормом Вамэй 2001 года и циклоном Агни 2004 года[41][42].
Время формирования
Сезон тропических циклонов на севере Атлантического океана длится с 1 июня по 30 ноября, достигая пика в конце августа и в сентябре[28]. По статистике, большинство тропических циклонов образовались здесь в районе 10 сентября. На северо-востоке Тихого океана этот сезон длится дольше, но с максимумом в те же времена[43]. На северо-западе Тихого океана тропические циклоны образуются в течение всего года, с минимумом в феврале-марте и с максимумом в начале сентября. На севере Индийского океана тропические циклоны возникают чаще всего с апреля по декабрь, с двумя пиками — в мае и в ноябре[28]. В Южном полушарии сезон тропических циклонов длится с 1 ноября до конца апреля, с пиком с середины февраля до начала марта[28][44].
| Сезоны тропических циклонов и их активность[28][45] | |||||
|---|---|---|---|---|---|
| Бассейн | Начало сезона | Конец сезона | Тропических штормов (>34 узлов) | Ураганов (>63 узлов) | ТЦ категории 3+ (>95 узлов) |
| Сев.-Зап. Тихоокеанский | апрель | январь | 26,7 | 16,9 | 8,5 |
| Южно-Индийскоокеанский | ноябрь | апрель | 20,6 | 10,3 | 4,3 |
| Сев.-Вост. Тихоокеанский | май | ноябрь | 16,3 | 9,0 | 4,1 |
| Северо-Атлантический | июнь | ноябрь | 10,6 | 5,9 | 2,0 |
| Южно-Тихоокеанский | ноябрь | апрель | 9 | 4,8 | 1,9 |
| Северо-Индийскоокеанский | апрель | декабрь | 5,4 | 2,2 | 0,4 |
Взаимодействие с пассатами
Движение тропических циклонов вдоль поверхности Земли зависит прежде всего от преобладающих ветров, возникающих вследствие глобальных циркуляционных процессов, — тропические циклоны увлекаются этими ветрами и движутся вместе с ними[46]. В зоне возникновения тропических циклонов, то есть между 20-ми градусами широты обоих полушарий, влекомые пассатами циклоны движутся на запад.
В тропических районах северной Атлантики и на северо-востоке Тихого океана пассаты образуют тропические волны, начинающиеся от африканского побережья и проходящие через Карибское море, Северную Америку и затухающие в центральных районах Тихого океана[37]. Эти волны являются местом возникновения большой части тропических циклонов в этих регионах Земли[36].
Эффект Кориолиса

Эффект Кориолиса, возникающий из-за вращения Земли, является причиной не только закручивания атмосферных вихрей, но и влияет на трассы их движения. Из-за этого эффекта тропический циклон, влекомый пассатами на запад, при отсутствии других сильных потоков воздушных масс отклоняется к полюсам[47]. Поскольку воздействие пассатов накладывается на движение воздушных масс внутри циклонов на его полярной стороне, сила Кориолиса там сильнее. В результате тропический циклон оттягивается к полюсу планеты. Когда тропический циклон достигает субтропического хребта, западные ветры умеренного пояса начинают уменьшать скорость движения воздуха на полярной стороне, но разница в расстоянии от экватора между различными частями циклона достаточно большая, чтобы суммарная закручивающая атмосферный вихрь сила была направлена к полюсу. В результате тропические циклоны Северного полушария отклоняются на север (до поворота на восток), а тропические циклоны Южного полушария — на юг (также до поворота на восток)[22].
Взаимодействие с западными ветрами умеренных широт

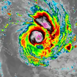
Когда тропический циклон пересекает субтропический хребет, являющийся зоной высокого давления, его путь обычно отклоняется в зону низкого давления с полярной стороны хребта. Попав в зону западных ветров умеренного пояса, тропический циклон имеет тенденцию двигаться с ними на восток, проходя момент изменения курса движения (англ. recurvature)[48]. Тайфуны, движущиеся через Тихий океан на запад к восточным берегам Азии, часто меняют курс у берегов Японии на север и далее на северо-восток, захваченные юго-западными ветрами с Китая или Сибири. Много тропических циклонов также отклоняются из-за взаимодействия с внетропическими циклонами, движущимися в этих районах с запада на восток. Примером изменения курса тропическим циклоном служит тайфун Йоке 2006 года (на изображении), который двигался по описанной траектории[49].
Выход на сушу
Формально считается, что циклон проходит над сушей, если над сушей проходит его центр циркуляции, независимо от состояния периферийных областей[50]. Штормовые условия обычно начинаются над определённым участком суши за несколько часов до выхода на сушу центра циклона. В этот период — до формального выхода тропического циклона на сушу — ветры могут достигнуть своей наибольшей силы. В таком случае говорят о «прямом ударе» тропического циклона о берег[50]. Таким образом, момент выхода циклона на берег фактически означает середину штормового периода для районов, где это случается. Меры безопасности должны приниматься до момента достижения ветрами определённой скорости или до момента достижения определённой интенсивности дождя, а не быть связанными с моментом выхода тропического циклона на сушу[50].
Взаимодействие циклонов
Когда два циклона приближаются друг к другу, их центры циркуляции начинают вращаться вокруг общего центра. При этом два циклона приближаясь друг к другу, в конце концов, сливаются. Если циклоны разного размера, больший будет доминировать в этом взаимодействии, а меньший будет вращаться вокруг него. Этот эффект носит название эффекта Фудзивары (в честь японского метеоролога Сакухэя Фудзивары[51]).
Рассеяние

Тропический циклон может потерять свои характеристики несколькими путями. Один из этих путей — движение над сушей, что отрезает его от необходимого для питания источника тёплой воды, вследствие этого тропический циклон быстро теряет силу[52]. Большинство сильных тропических циклонов теряют свою силу и превращаются в неорганизованную зону низкого давления через день, иногда два дня, или же превращаются во внетропические циклоны. Иногда тропический циклон может восстановиться, если ему удастся вновь попасть в тёплые океанские воды, как это случилось с ураганом Иван. Если тропический циклон пройдёт над горами даже в течение короткого времени, его ослабление существенно ускорится[53]. Много жертв от тропических циклонов случается именно в горных районах, поскольку тропический циклон, что быстро теряет силу, высвобождает огромное количество дождевой воды[54], что приводит к разрушительным наводнениям и оползням, как это случилось с ураганом Митч в 1998 году[55]. Кроме того, тропический циклон будет терять силу, если он находится в одном районе слишком долго, поскольку из-за интенсивного испарения и перемешивания слоя воды толщиной до 60 м, приповерхностная температура может упасть на величину порядка 5 °C[56], а без тёплого приповерхностного слоя воды тропический циклон не может выжить.
Тропический циклон также может рассеяться, если он попадёт на новый участок моря, температура которого ниже 26,5 °C. Такой тропический циклон потеряет свои тропические характеристики (то есть грозовой круг вокруг центра и тёплое ядро) и превратится в остаточную зону низкого давления, что может существовать в течение нескольких дней. Этот механизм рассеяния является главным на северо-востоке Тихого океана[57].
Ослабление или рассеивание тропического циклона также может случиться вследствие сильного вертикального градиента ветра, что сдвигает ось конвекционной тепловой машины и нарушает её работу[58].
В результате взаимодействия с западными ветрами умеренных широт и более характерными для умеренных районов атмосферными фронтами, тропический циклон может превратиться во внетропический, подобная трансформация обычно занимает 1—3 дня[59]. Внетропические циклоны обычно характеризуются более высоким давлением внутри и слабыми ветрами[2]. Однако даже если тропический циклон «рассеялся» или превратился во внетропический, скорость ветров в нём всё ещё может быть штормовой, а иногда даже и ураганной, а количество осадков может составить более 10 см. Очень интенсивные внетропические циклоны, образованные из тропических, периодически угрожают западному побережью Северной Америки, а в отдельных случаях и Европе; примером таких штормов был ураган Айрис 1995 года[60].
Также тропический циклон может слиться с другой зоной низкого давления. Такой процесс увеличивает эту зону низкого давления, хотя она может уже не быть тропическим циклоном[58]. Исследования 2000-х годов также привели к гипотезе, что к ослаблению и рассеиванию тропического циклона может привести большое количество пыли в атмосфере[61].
Эффект
За последние два века тропические циклоны привели к гибели 1,9 млн человек в мире вследствие своего прямого эффекта. Кроме прямого эффекта на жилые дома и экономические объекты, тропические циклоны разрушают объекты инфраструктуры, включая дороги, мосты, линии электропередач, чем наносят огромный экономический ущерб поражённым районам[62][63]. Определённый негативный эффект от тропических циклонов проявляется уже в море, поскольку они вызывают сильные волны, прекращают мореходство и иногда приводят к кораблекрушениям[64].
Ветер

Прямым эффектом от тропических циклонов на суше являются штормовые ветры, способные уничтожать автомобили, здания, мосты и другие искусственные сооружения. Время, в течение которого определённое место остаётся под действием циклона, зависит как от размеров циклона, так и от скорости его движения, обычно это время составляет несколько часов. Сильнейшие постоянные ветры в пределах циклона обычно локализованы в центре его передней части и для сильных тропических циклонов превышают 70 м/с. За время прохождения тропического циклона могут быть повреждены или разрушены даже хорошо построенные капитальные здания. Минимальная скорость ветра, при которой тропический циклон считается ураганом, составляет около 28 м/с, ветер такой силы создаёт давление на вертикальную стену в 718 Па, а более типичные для ураганов ветры скоростью 55 м/с — давление в 3734 Па. Таким образом, здания с большой площадью стен испытывают во время прохождения тропического циклона действие огромной силы, особенно если их стены крупнейшей площади ориентированы перпендикулярно ветру[2].
Кроме сильных постоянных ветров, в момент выхода на сушу для тропических циклонов также характерны особенно сильные локализованные ветры и порывы ветра. Хотя трение о поверхность земли уменьшает скорость ветра, оно значительно увеличивает турбулентность движения воздуха, часто приводя к спуску наиболее быстрых высотных воздушных потоков до уровня поверхности. Другой механизм возникновения порывов в пределах тропического циклона подобен механизму микропорывов, характерных для нециклонных гроз. Ветер в пределах таких порывов часто направлен против направления ветра на близлежащих участках, но в случае совпадения направлений обоих, его скорость может достигать около 100 м/с[2].
Штормовой прилив

Худшим по количеству жертв эффектом от тропических циклонов исторически был штормовой прилив, то есть поднятие уровня моря под действием циклона, что в среднем приводит примерно к 90 % жертв[65]. Штормовой прилив вызывается в первую очередь трением воздуха о поверхность воды и может достигать свыше 6 м, иногда затапливая большие прибрежные территории. Этот механизм нагона воды особенно эффективен в мелких заливах и устьях рек. Например, крупнейший по числу жертв в истории циклон Бхола в 1970 году привёл к гибели 300—500 тыс. человек в Восточном Пакистане из-за 9-метрового штормового прилива и затопления островов мелкой дельты Ганга. У циклонов Северного полушария максимальный штормовой прилив случается в переднем правом секторе циклона, у циклонов Южного — в переднем левом. К трению ветра также прилагается увеличение уровня воды под действием низкого атмосферного давления циклона, что поднимает его уровень ещё примерно на 1 м. Если же циклон выходит на сушу во время прилива, эти эффекты накладываются друг на друга, приводя к наиболее разрушительным последствиям[2].
Смерчи
Широкая вихревая картина тропического циклона и возникновение сильного вертикального градиента ветра вследствие трения о поверхность земли вызывает смерчи. Смерчи также могут возникать вследствие мезовихрей стены глаза, структур тропического циклона относительно небольшого масштаба, образующихся после его выхода на сушу[66].
Ливни

Тропические циклоны всегда ассоциируются со значительными количествами атмосферных осадков, в первую очередь в районе стены глаза и дождевых полос циклона. Обычно количество осадков составляет несколько сантиметров в час, со вспышками значительно большего уровня. Общие количества осадков за время прохождения циклона в 500—1000 мм дождя не являются необычными. Такие количества осадков очень легко переполняют дождевую канализацию и приводят к наводнениям. Вызванные дождями наводнения особенно опасны в горных районах, как из-за увеличения количества осадков вследствие поднятия воздуха, так и, особенно, из-за концентрации дождевых потоков вдоль оврагов и устьев рек, как это случилось во время прохождения ураганом Митч территории Гондураса в 1998 году.
Другим источником ливневых дождей, не связанным со стеной глаза, является выпадение воды из облаков высотного покрова циклона, что случается в случае попадания этих облаков в зону низкого давления более высоких широт. Например, в результате такого эффекта, остаткам восточнотихоокеанского урагана Октав удалось проникнуть в пустынные районы Аризоны, где количество осадков за три дня составило более 200 мм, почти годовую норму осадков для этих районов[2].
Значительные ливни и штормовые приливы также часто приводят к возникновению участков стоячей воды, что при условиях тропического климата легко приводит как к распространению инфекций из-за контактов с водой, так и к увеличению количества комаров, которые также разносят болезни. Болезни распространяются также в перенаселённых лагерях для беженцев, потерявших жильё в результате ураганов[62].
Поддержание теплового и гидрологического баланса
Хотя тропические циклоны приводят к значительным жертвам и разрушениям, они являются важными факторами в режиме осадков тех районов, где они существуют, поскольку они приносят осадки в районы, которые в противном случае оставались бы засушливыми[67]. Также тропические циклоны помогают поддерживать тепловой баланс, изменяя градиент в температуре и влажности между тропическими и субтропическими районами Земли. Штормовые приливы и перемешивание океанской воды тропическими циклонами также важны для поддержки морской флоры и фауны. Даже разрушение искусственных сооружений часто оказывается полезным, поскольку вызывает восстановление и улучшение районов, многие из которых экономически очень неблагополучны[68].
Исследование и классификация
Бассейны и организации
![]() Бассейны тропических циклонов | |
| Бассейн | Ответственные организации |
|---|---|
| 1. Североатлантический | Национальный ураганный центр (США) |
| 2. Северо-восточный тихоокеанский | Национальный ураганный центр (США) Центральнотихоокеанский ураганный центр (США) |
| 3. Северо-западный тихоокеанский | Японское метеорологическое агентство |
| 4. Северо- индийскоокеанский | Индийский метеорологический департамент |
| 5. Юго-западный индийскоокеанский | Метео-Франс |
| 6. Юго-восточный индийскоокеанский | Бюро метеорологии† (Австралия) Индонезийское метеорологическое агентство |
| 7. Юго- тихоокеанский | Метеорологическая служба Фиджи Метеорологическая служба Новой Зеландии† Национальная погодная служба Папуа-Новой Гвинеи† Бюро метеорологии† (Австралия) |
| †: Центры предупреждения о тайфунах | |
Основные районы возникновения тропических циклонов составляют семь фактически обособленных непрерывных зон, которые имеют название бассейнов, их список приведён в таблице справа. Самым активным бассейном является северо-западный тихоокеанский, где ежегодно возникает 25,7 тропических циклонов силы тропического шторма или более из 86 в мире. Наименее активным является северо-индийскоокеанский бассейн, где ежегодно случается лишь 4—6 тропических циклона[71].
За период наблюдений было зарегистрировано всего несколько случаев возникновения тропических циклонов или подобных им явлений в других районах мирового океана. Первым официально признанным из них стал циклон Катарина, образовавшийся 26 марта 2004 года на юге Атлантического океана, который позже вышел на сушу в Бразилии с ветрами, эквивалентными 2-й категории по шкале Саффира-Симпсона. Поскольку этот циклон сформировался в районе, где раньше тропические циклоны никогда не регистрировались, бразильские метеорологические агентства сначала считали его внетропическим, но впоследствии переклассифицировали в тропический[72].
Роль главных центров, занимающихся наблюдением и предупреждением тропических циклонов, выполняют шесть региональных специализированных метеорологических центров (англ. Regional Specialized Meteorological Centers, RSMC). Эти центры исполняют обязанности по поручению Всемирной метеорологической организации и отвечают за выпуск официальных предупреждений, образовательных публикаций и рекомендаций относительно мер подготовки в своих районах ответственности. В дополнение к ним существует также шесть Центров предупреждения о тропических циклонах (англ. Tropical Cyclone Warning Centers, TCWC), также уполномоченных Всемирной метеорологической организацией, но с более низким статусом и меньшими районами ответственности[73].
Региональные специализированные метеорологические центры и центры предупреждения о тропических циклонах, однако, являются не единственными организациями, которые занимаются распространением информации о тропических циклонах. Так, Объединённый американский военно-морской центр по предупреждению о тайфунах (англ. Joint Typhoon Warning Center, JTWC) даёт советы относительно всех бассейнов, за исключением Североатлантического, для целей Правительства США[74]; Филиппинское управление атмосферных, геофизических и астрономических служб (англ. Philippine Atmospheric, Geophysical and Astronomical Services Administration, PAGASA) даёт советы и предоставляет имена тропическим циклонам, что приближаются к Филиппинам[75]; Канадский ураганный центр (англ. Canadian Hurricane Center, CHC) отпускает советы относительно остатков ураганов, которые могут угрожать Канаде[76].
Наблюдение

Наблюдение за тропическими циклонами является трудной задачей, поскольку они возникают над океаном, где редко имеются метеорологические станции, к тому же они быстро развиваются и передвигаются. Наблюдение за тропическим циклоном с поверхности обычно возможно, только если он проходит через острова; иногда можно наблюдать с океанского судна. Обычно измерения в реальном времени видны на периферии циклона, где условия менее катастрофические, но такие измерения не позволяют оценить реальную силу циклона. Поэтому во время прохождения тропического циклона по суше, группы метеорологов часто отправляются в районы его предполагаемого прохождения с целью проведения наблюдений как можно ближе к центру циклона[77].
В океане за тропическими циклонами наблюдают с помощью метеорологических спутников, способных получать изображения в видимом и инфракрасном диапазонах, обычно с интервалами 15—30 минут. Когда циклон приближается к суше, за ним можно наблюдать с помощью метеорологических радаров. С помощью радаров удобно получать информацию о расположении циклона в момент выхода на сушу и его интенсивности практически в реальном времени, то есть каждые несколько минут[78].
Также измерения в реальном времени проводят с помощью специально оборудованных самолётов, отправляющихся к циклону. В частности, такие полёты регулярно проводят «охотники за ураганами»[79] на самолётах WC-130 Геркулес и WP-3D Орион. Эти самолёты залетают в циклон и получают данные как напрямую, так и посредством сбрасываемых зондов, оборудованных GPS и датчиками температуры, влажности и давления, которые проводят измерение между безопасной для полётов высотой и поверхностью океана. В начале 21 века к этих методам был добавлен Aerosonde — небольшой беспилотный самолёт, способный получать метеорологическую информацию на небольших высотах, опасных для человека. Первое испытание этого прибора произошло при исследовании атлантического тропического шторма Офелия в 2005 году[80].
Прогнозирование

Поскольку на движение тропического циклона влияют зоны низкого и высокого давления вокруг него, для прогнозирования его пути необходимо спрогнозировать динамику развития этих зон в течение жизни циклона. Для этого обычно используют измерение скорости и силы ветров, усреднённые на всей толще тропосферы. Если градиент ветра относительно большой, наилучшие результаты получаются при помощи значения скорости ветра на уровне 700 мбар (на высоте около 3000 м над уровнем моря). При этом краткосрочные флуктуации ветра в пределах циклона усредняют[81]. Сейчас для более точного прогнозирования пути тропических циклонов широко используются компьютерные симуляции. Улучшение методов измерения вместе с улучшением понимания атмосферных процессов за последние десятилетия привело к увеличению точности прогнозирования пути тропических циклонов[82]. Однако точность прогнозирования их силы всё ещё остаётся достаточно низкой[83], что приписывают неполному пониманию факторов, которые влияют на развитие тропических циклонов.
Классификация по силе

По критерию силы тропические циклоны классифицируют в три главные группы: тропические депрессии, тропические штормы и наиболее интенсивные циклоны, название которых варьирует в зависимости от бассейна («тайфун» на северо-западе Тихого океана, «ураган» на северо-востоке Тихого и в Атлантическом океанах[50] и модификации названий тропических штормов с помощью терминов «очень жестокий» или «интенсивный» в остальных бассейнах). Если тропический циклон попадает из одного бассейна в другой, его классификация соответственно меняется: например, ураган Йоке в 2006 году превратился в «тайфун Йоке» в момент перехода через международную линию перемены дат из северо-восточного в северо-западный район Тихого океана. Каждая из систем классификации, отчёт о которых приведён в таблице внизу раздела, использует несколько другую терминологию также для подгрупп каждой из этих категорий.
Тропическая депрессия
«Тропической депрессией» называется организованная циклонная система с чётко выраженной приповерхностной циркуляцией и максимальными постоянными ветрами до 17 м/с (33 узла). Такая система не имеет глаза и обычно не имеет спиральной организации более мощных тропических циклонов[13]. Обычно тропические депрессии не получают собственных имен, исключением являются тропические депрессии, формирующиеся в зоне ответственности Филиппин[84].
Тропический шторм
«Тропическим штормом» называется организованная циклонная система с чётко выраженной приповерхностной циркуляцией и максимальными постоянными ветрами между 17 м/с (33 узла) и 32 м/с (63 узла). Обычно эти тропические циклоны развивают выразительную спиральную форму, хотя глаз часто всё ещё не образуется. Начиная с этого уровня, тропические циклоны получают собственные имена в зависимости от страны, в зоне ответственности которой тропический циклон достигает такой силы[13].
Циклоны высшей силы
Наивысшей категорией классификации тропических циклонов является «ураган» или «тайфун» (часть классификаций при этом сохраняют названия «циклонный шторм» или «тропический циклон»), что характеризуется постоянными ветрами от 33 м/с (64 узла)[13] (тайфуны с постоянными ветрами со скоростью более 67 м/с, или 130 узлов, также называются «супертайфунами» Объединённым центром предупреждения о тайфунах[85]). Тропический циклон такой силы обычно развивает чётко выраженный глаз в центре циркуляции, который можно увидеть на спутниковых снимках как относительно небольшое круглое пятно, свободное от облаков. Стена глаза этих циклонов составляет от 16 до 80 км в ширину и характеризуется ветрами, что по оценкам могут доходить примерно до 85 м/с (165 узлов)[86].
Существуют две этимологии слова «тайфун». Первая выводит его из китайского слова taifung «сильный ветер». Согласно второй, данное слово попало в русский язык через немецкое или английское посредство из арабского طوفان, ţūfān. При этом возможно, что арабское слово было заимствовано из др.-греч. τυφῶν «вихрь, ураган, смерч»[87].
Слово же «ураган», который используется в Атлантическом океане и на северо-востоке Тихого, происходит от имени бога ветра Хуракана (Huracan или Jurakan) в мифологии майя, что прошло через испанский язык как huracán[88].
| Приблизительное сравнение классификаций тропических циклонов[89][90] | ||||||||
|---|---|---|---|---|---|---|---|---|
| Шкала Бофорта | Постоянный ветер за 10 минут, узлов | Сев. Индийский океан IMD | Ю-З Индийский океан MF | Австралия BOM | Ю-З Тихий океан FMS | С-З Тихий океан JMA | С-З Тихий океан JTWC | С-В Тихий и Сев. Атлантический океаны NHC и CPHC |
| 0—6 | <28 | Депрессия | Тропические волнения | Тропическое понижение | Тропическая депрессия | Тропическая депрессия | Тропическая депрессия | Тропическая депрессия |
| 7 | 28—33 | Глубокая депрессия | Тропическая депрессия | |||||
| 8-9 | 34—47 | Циклонный шторм | Умеренный циклонный шторм | Тропический циклон (1) | Тропический циклон (1) | Тропический шторм | Тропический шторм | Тропический шторм |
| 10 | 48—55 | Жестокий циклонный шторм | Жестокий тропический шторм | Тропический циклон (2) | Тропический циклон (2) | Жестокий тропический шторм | ||
| 11 | 56—63 | |||||||
| 12 | 64—72 | Очень жестокий циклонный шторм | Тропический циклон | Жестокий тропический циклон (3) | Жестокий тропический циклон (3) | Тайфун | Тайфун | Ураган (1) |
| 13 | 73—85 | Ураган (2) | ||||||
| 14 | 86—89 | Жестокий тропический циклон (4) | Жестокий тропический циклон (4) | Сильный ураган (3) | ||||
| 15 | 90—99 | Интенсивный тропический циклон | ||||||
| 16 | 100—106 | Сильный ураган (4) | ||||||
| 17 | 107—114 | Жестокий тропический циклон (5) | Жестокий тропический циклон (5) | |||||
| 115—119 | Очень интенсивный тропический циклон | Супертайфун | ||||||
| >120 | Суперциклонный шторм | Сильный ураган (5) | ||||||
Наименование
Для различения многих тропических циклонов, которые могут существовать одновременно и активно двигаться, те из них, которые достигают силы тропического шторма, получают имена собственные[91]. В большинстве случаев имя тропического циклона остаётся на все время его существования, однако в особых случаях их переименовывают, пока они всё ещё сохраняют активность.
Имена тропическим циклонам даются из официальных списков, которые отличаются в зависимости от региона и составляются заранее. Эти списки составляются или комитетами Всемирной метеорологической организации, или национальными метеорологическими организациями, которые занимаются наблюдением за тропическими циклонами. Имена наиболее разрушительных тропических циклонов становятся закреплёнными и выводятся из обращения, а им на замену вводятся новые.
В дополнение, в некоторых странах существует числовая или кодовая классификация тропических циклонов. Например, в Японии циклон имеет номер, под которым он появился на протяжении сезона, например яп. 台風第9号 — «тайфун номер 9».
Изменения активности со временем
Долговременные тенденции
| Место | Имя / название | Сезон | Убытки (2005 USD) |
|---|---|---|---|
| 1 | «Катрина» | 2005 | 125 млрд |
| «Харви» | 2017 | ||
| 2 | «Мария» | 2017 | 92 млрд |
| 3 | «Ирма» | 2017 | 77 млрд |
| 4 | «Сэнди» | 2012 | 68 млрд |
| 5 | «Ида» | 2021 | 65 млрд |
| 6 | «Айк» | 2008 | 38 млрд |
| 7 | «Эндрю» | 1992 | 28 млрд |
| 8 | «Вильма» | 2005 | 27 млрд |
| 9 | «Иван» | 2004 | 26 млрд |
| 10 | «Майкл» | 2018 | 25 млрд |
| Источник:[92] | |||
Наиболее исследованным бассейном является Атлантический, поэтому наибольшее количество имеющихся данных по активности тропических циклонов в прошлом касается именно этого бассейна. Ежегодное число атлантических тропических штормов выросло с 1995 года, но эта тенденция не является глобальной: среднее ежегодное число тропических циклонов остаётся на уровне 87 ± 10. Однако глобальные выводы делать трудно ввиду отсутствия исторических данных относительно некоторых бассейнов, особенно Южного полушария[93]. В целом, нет уверенности относительно тенденции увеличения числа тропических циклонов. Одновременно, данные указывают на увеличение числа ураганов наибольшей силы. Количество энергии, выделяемое типичным ураганом, выросло в мире примерно на 70 % за период примерно с 1975 по 2005 год, это увеличение состоит из 15 % увеличения максимальной скорости ветра и из 60 % увеличения средней продолжительности жизни тропических циклонов[94]. Подобные же данные были получены в другой работе, которая показала снижение общего числа тропических циклонов во всех бассейнах, кроме Североатлантического, и одновременно существенное увеличение относительного и абсолютного количества очень сильных тропических циклонов[95]. По другим данным, скорость ветра самых сильных тропических циклонов увеличилась с 63 м/с в 1981 году до 70 м/с в 2006 году[96].
Другой заметной тенденцией является увеличение финансовых убытков от тропических циклонов, в частности на Атлантическом океане, где пять из десяти самых разрушительных ураганов случились с 1990 года. Однако, по данным ВМО, эти изменения происходят преимущественно из-за роста населения и развития прибрежных районов[97]. В прошлом, в том числе из-за угрозы ураганов, прибрежные районы не имели большой численности населения за пределами главных портов, и лишь с развитием туризма в конце 20 века плотность населения в прибрежных районах значительно увеличилась. Этот же вывод подтверждается отсутствием тенденции увеличения убытков от атлантических ураганов за 1900—2005 года в случае их нормализации на совокупный доход населения прибрежных районов[98]. При этом наименее разрушительным был период 1970—1990-х гг., а наиболее разрушительным — период 1926—1935 гг. и период 1996—2005 гг.[99][100] Рекордным же по числу тропических штормов на этом бассейне был сезон 2005 года (28 тропических штормов), за которым следует сезон 1933 года (21 тропический шторм). Также активными были периоды начала 19 века и период 1870—1899 гг., но неактивными — периоды 1840—1870 и 1900—1925 гг.[101]
В доспутниковую эру часть ураганов оставалась незамеченной или их сила неизвестной по причине отсутствия удобных методов наблюдения, что может по меньшей мере частично объяснять тенденцию к увеличению как числа, так и силы тропических циклонов[102]. В частности, до 1960 года тропические циклоны, что не достигали населённых районов, могли быть замечены случайно с самолёта или судна, но регистрировались лишь при условии, что команда уведомляла о тропическом циклоне по возвращении[102] и могла отличить тропический циклон от других атмосферных явлений.

Также имелось предположение, что число и сила атлантических ураганов может следовать 50—70-летнему циклу вследствие североатлантической осцилляции. В частности, авторы одной работы реконструировали сильные ураганы с начала 18 века и нашли пять периодов продолжительностью по 40—60 годов с 3—5 сильными ураганами в год, разделённых шестью периодами с 1,5—2,5 сильными ураганами в год продолжительностью по 10—20 лет[103].
Данные исследований по реконструкции истории тропических циклонов указывают на колебания активности сильных ураганов в районе Мексиканского залива за период порядка нескольких столетий или тысячелетий[104][105]. В частности, активность в период 3000—1400 гг. до н. э. и за последнее тысячелетие была ниже активности в период с 1400 года до н. э. до 1000 года н. э. примерно в 3—5 раз. Эти колебания объясняют долговременными изменениями в расположении Азорского антициклона[105], что, в свою очередь, влияет на силу североатлантической осцилляции[106]. По этой гипотезе, существует отрицательная связь между количеством тропических циклонов в Мексиканском заливе и на атлантическом побережье США. В спокойные периоды северо-восточное расположение Азрского антициклона приводит к увеличению числа ураганов, достигающих Атлантического побережья. В более активные периоды большее число ураганов достигает Мексиканского залива. Эти колебания подтверждаются, в частности, образованием значительно более сухого климата на Гаити около 3200 лет назад по данным 14C[107], изменением климата Великих равнин в течение позднего Голоцена из-за увеличения количества тропических циклонов в долине реки Миссисипи, и увеличением влажности на мысе Кейп-Код за последние 500—1000 лет.
Глобальное потепление
Из-за увеличения зарегистрированного числа атлантических тропических циклонов и их силы начиная примерно с 1995 года, выдвигались предположения о связи активности тропических циклонов с глобальным потеплением. Так, по данным исследований Лаборатории геофизической гидродинамики NOAA на основе компьютерных симуляций, в течение следующего столетия можно ожидать увеличение силы сильнейших ураганов из-за нагрева земной атмосферы[108]. К такому же выводу пришли и члены Международной экспертной группы по вопросам изменения климата в четвёртом докладе, опубликованном в 2007 году, по данным которого вероятность увеличения интенсивности тропических циклонов в 21 веке является высокой, причём вероятным является и антропогенное влияние на этот процесс[109]. По данным исследований 2005 года известного метеоролога Керри Эмануэля, «потенциальная разрушительность ураганов» (приблизительная мера их общей энергии) сильно зависит от приповерхностной температуры моря, что увеличивается в том числе вследствие глобального потепления, и это увеличение будет продолжаться в будущем[110]. Однако в работах 2008 года он прогнозирует уменьшение ожидаемой частоты тропических циклонов[111][112].
Важной проблемой в определении возможного эффекта глобального потепления на частоту и силу тропических циклонов является несоответствие наблюдаемого увеличения силы тропических циклонов и прогнозируемой величины этого увеличения из-за повышения температуры[113]. Считается общепризнанным, что достаточно высокие температуры морской поверхности являются важными для развития тропических циклонов[114]. Однако, по данным компьютерного моделирования, потепление на 2 °C, замеченное за последнее столетие, должно было бы привести к увеличению силы тропических циклонов на половину категории или на 10 % по индексу потенциальной силы разрешений, тогда как наблюдаемое увеличение индекса составляет 75—120 %[110]; подобные выводы были получены и другими авторами[115].
По официальному сообщению Американского метеорологического общества от 1 февраля 2007 года, «наблюдения за тропическими циклонами предоставляют данные как в поддержку, так и против наличия заметного антропогенного сигнала в тропическом циклоногенезе»[116]. Хотя связь между глобальным потеплением и тропическими циклонами остаётся спорной[117], в целом исследователи соглашаются, что межсезонные вариации являются значительными, а потому рекорды отдельного тропического циклона или сезона не могут быть приписаны глобальному потеплению[117][118].
В 2020 году, согласно исследованию, опубликованному в Nature, учёные Окинавского института науки и технологий пришли к выводу, что глобальное потепление усилило ураганы, которым ныне требуется больше времени, чтобы ослабнуть над сушей[119].
Эль-Ниньо
Большинство тропических циклонов формируется в районе экваториального пояса, после чего они двигаются на запад в зону пассатов, отклоняясь на север, пересекая субтропический хребет и, попадая в зону западных ветров умеренного пояса, поворачивают на восток[120]. Однако расположение как экваториального пояса, так и субтропического хребта зависит от Эль-Ниньо, вследствие чего от него зависят и пути тропических циклонов. Районы к западу от Японии и Кореи испытывают гораздо меньше тропических циклонов за сезон с сентября по ноябрь во время Эль-Ниньо или в обычные годы. В годы Эль-Ниньо прорыв тропических циклонов через субтропический хребет происходит около 130 градусов в. д., в результате тропические циклоны угрожают островам Японского архипелага или вообще не находят суши на своём пути[121]. В годы Эль-Ниньо вероятность удара тропического циклона по Гуаму составляет лишь треть от средней за много лет[122]. Эффект Эль-Ниньо проявляется даже на Атлантическом океане, где активность тропических циклонов снижается благодаря увеличению градиента ветра[123]. В годы Ла-Нинья, районы формирования тропических циклонов и место их поворота на север двинулись на запад со сдвигом субтропического хребта, что увеличивает вероятность выхода тропических циклонов на сушу в Китае[121].
Солнечная активность
По данным некоторых исследований, на активность тропических циклонов может влиять и солнечная активность. Небольшое количество солнечных пятен вызывает снижение температуры верхних слоёв атмосферы, что приводит к нестабильности, благоприятной для формирования тропических циклонов. По результатам анализа исторических данных было показано, что вероятность достижения атлантическими тропическими циклонами побережья США увеличивается с 25 % в годы максимальной солнечной активности до 64 % в годы минимальной солнечной активности. Однако теория влияния солнечной активности по состоянию на 2010 год не является общепринятой и не используется для прогнозирования тропических циклонов[124].
Рекордные тропические циклоны

Рекордным по числу жертв тропическим циклоном считается циклон Бхола 1970 года, который прошёл по плотно населённой Дельте Ганга и убил от 300 тыс. до 500 тыс. человек[125], а потенциальное число прямых и косвенных жертв от этого циклона может достигать миллиона[126]. Это огромное число жертв стало следствием вызванного циклоном штормового прилива[125]. В целом Северо-Индийскоокеанский бассейн исторически лидировал по числу жертв[62][127], хотя и является наименее активным бассейном. В других районах мира рекорд поставил тайфун Нина, что убил около 100 тыс. жителей Китая в 1975 году в результате наводнения, смывшего 62 дамбы, включая дамбу Баньцяо[128]. Великий ураган 1780 года был рекордным по числу жертв в Североатлантическом бассейне, он убил 22 тыс. жителей Малых Антильских островов[129], а Галвестонский ураган 1900 года с 6—12 тыс. жертв был рекордным на территории США[130]. Тропический циклон не должен быть очень сильным, чтобы вызвать большое количество жертв, особенно если жертвы случаются вследствие наводнения или оползня. Так, тропический шторм Тельма в 1991 году убил несколько тысяч жителей Филиппин[131], а неназванная тропическая депрессия 1982 года (позже — ураган Пол) убила около 1000 жителей Центральной Америки[132].
Самым дорогим в мире по абсолютным убыткам тропическим циклоном является ураган Катрина 2005 года, и Ураган Харви 2017 года[133], что нанесли прямые убытки в результате разрушения имущества на 125 млрд долларов[134] Ураган Катрина привёл к гибели по меньшей мере 1836 человек в Луизиане и Миссисипи[134]. Второе место по убытками занимает Ураган Мария, что нанёс ущерб на 91 млрд долларов США, третьим был Ураган Ирма с убытками в 79 млрд долларов США.
.png.webp)
Наиболее интенсивным тропическим циклоном за всю историю наблюдений был тайфун Тип 1979 года на северо-западе Тихого океана, что достиг минимального атмосферного давления в 870 гПа (653 мм рт. ст.) и максимальных постоянных ветров в 165 узлов (85 м/с)[135]. Однако рекорд максимальных постоянных ветров этот тропический циклон разделяет с тремя другими: тайфуном Кейт 1997 года на северо-западе Тихого океана и атлантическими ураганами Камилла и Аллен[136]. Камилла была единственным тропическим циклоном за всю историю наблюдений, что вышел на сушу с ветрами такой силы, то есть постоянными ветрами в 165 узлов (85 м/с) и порывами в 183 узлов (94 м/с)[137]. Хотя зарегистрированная скорость ветра тайфуна Нэнси 1961 года составляла 185 узлов (95 м/с), более поздние исследования показали, что измерения скорости ветра на период его прохождения (в 1940—1960-е годы) были завышенными, поэтому эти значения больше не признаются как рекордные[86]. Аналогично, зарегистрированная скорость порыва ветра, вызванного тайфуном Пака на острове Гуам составила 205 узлов (105 м/с), что было бы вторым значением скорости ветра у поверхности за пределами смерча, но эти данные были отброшены из-за повреждения ветром анемометра[138].
Кроме рекорда по интенсивности, тайфун Тип удерживает рекорд по размеру: диаметр его ветров силы тропического шторма составляет 2170 км. Наименьшим тропическим циклоном штормовой силы был шторм Марко 2008 года, что имел диаметр ветров силы тропического шторма лишь в 19 км[139]. Он отобрал рекорд наименьшего тропического циклона у циклона Трейси 1974 года с диаметром ветров силы тропического шторма в 48 км.
Ураганом с наибольшей продолжительностью жизни был ураган Джон 1994 года, просуществовавший 31 день. Однако до появления спутниковых данных в 1960-е годы время жизни большинства тропических циклонов оставалась недооценённой[140]. Джон также имеет самый длинный путь в 13 280 км среди всех тропических циклонов, для которых известен этот параметр[141].
23 октября 2015 года на штат Халиско (тихоокеанское побережье Мексики) обрушился тропический циклон Патрисия. Сила ветра внутри этого урагана на суше достигала 325 км/час, с отдельными порывами до 400 км/час[142].
См. также
Примечания
- JetStream — Online School for Weather, Национальная метеорологическая служба
- Статья «Tropical cyclone», Encyclopædia Britannica
- Национальная метеорологическая служба. Tropical Cyclone Structure. JetStream — An Online School for Weather. Национальное управление океанических и атмосферных исследований (19 октября 2005). Дата обращения: 7 мая 2009. Архивировано 22 июня 2012 года.
- Pasch, Richard J.; Eric S. Blake, Hugh D. Cobb III, and David P. Roberts. Tropical Cyclone Report: Hurricane Wilma: 15–25 October 2005 (PDF). Национальный центр прогнозирования ураганов США (28 сентября 2006). Дата обращения: 14 декабря 2006. Архивировано 22 июня 2012 года.
- Lander, Mark A. A Tropical Cyclone with a Very Large Eye (англ.) // Monthly Weather Review : journal. — 1999. — January (vol. 127, no. 1). — P. 137. — doi:10.1175/1520-0493(1999)127<0137:ATCWAV>2.0.CO;2.
- Pasch, Richard J. and Lixion A. Avila. Atlantic Hurricane Season of 1996 (англ.) // Monthly Weather Review : journal. — 1999. — May (vol. 127, no. 5). — P. 581—610. — doi:10.1175/1520-0493(1999)127<0581:AHSO>2.0.CO;2.
- Symonds, Steve. Highs and Lows, Wild Weather, Australian Broadcasting Corporation (17 ноября 2003). Архивировано 11 октября 2007 года. Дата обращения 23 марта 2007.
- Atlantic Oceanographic and Meteorological Laboratory, Hurricane Research Division. Frequently Asked Questions: What is an extra-tropical cyclone?. National Oceanic and Atmospheric Administration. Дата обращения: 23 марта 2007. Архивировано 22 июня 2012 года.
- Atlantic Oceanographic and Meteorological Laboratory, Hurricane Research Division. Frequently Asked Questions: What is a "CDO"?. National Oceanic and Atmospheric Administration. Дата обращения: 23 марта 2007. Архивировано 22 июня 2012 года.
- American Meteorological Society. AMS Glossary: C. Glossary of Meteorology. Allen Press. Дата обращения: 14 декабря 2006. Архивировано 22 июня 2012 года.
- Atlantic Oceanographic and Hurricane Research Division. Frequently Asked Questions: What are "concentric eyewall cycles" (or "eyewall replacement cycles") and why do they cause a hurricane's maximum winds to weaken?. National Oceanic and Atmospheric Administration. Дата обращения: 14 декабря 2006. Архивировано 22 июня 2012 года.
- Q: What is the average size of a tropical cyclone?. Joint Typhoon Warning Center (2009). Дата обращения: 7 мая 2009. Архивировано 22 июня 2012 года.
- Национальная метеорологическая служба. Hurricanes... Unleashing Nature's Fury: A Preparedness Guide (PDF). National Oceanic and Atmospheric Administration (September 2006). Дата обращения: 2 декабря 2006. Архивировано 26 февраля 2008 года.
- Atlantic Oceanographic and Meteorological Laboratory, Hurricane Research Division. Frequently Asked Questions: What's it like to go through a hurricane on the ground? What are the early warning signs of an approaching tropical cyclone?. National Oceanic and Atmospheric Administration. Дата обращения: 26 июля 2006. Архивировано 22 июня 2012 года.
- Merrill, Robert T A comparison of Large and Small Tropical cyclones (недоступная ссылка — история ). American Meteorological Society (14 декабря 1983). Дата обращения: 6 мая 2009.
- Global Guide to Tropical Cyclone Forecasting: chapter 2: Tropical Cyclone structure (недоступная ссылка). Бюро метеорологии (7 мая 2009). Дата обращения: 6 мая 2009. Архивировано 22 июня 2012 года.
- K. S. Liu and Johnny C. L. Chan. Size of Tropical Cyclones as Inferred from ERS-1 and ERS-2 Data (англ.) // Monthly Weather Review : journal. — 1999. — December (vol. 127, no. 12). — P. 2992. — doi:10.1175/1520-0493(1999)127<2992:SOTCAI>2.0.CO;2.
- Anthropogenic Effects on Tropical Cyclone Activity.. Massachusetts Institute of Technology (8 февраля 2006). Дата обращения: 7 мая 2009. Архивировано 22 июня 2012 года.
- NOAA FAQ: How much energy does a hurricane release?. Национальное управление океанических и атмосферных исследований (August 2001). Дата обращения: 30 июня 2009. Архивировано 22 июня 2012 года.
- Atlantic Oceanographic and Meteorological Laboratory, Hurricane Research Division. Frequently Asked Questions: Doesn't the friction over land kill tropical cyclones?. Национальное управление океанических и атмосферных исследований. Дата обращения: 25 июля 2006. Архивировано 22 июня 2012 года.
- Coriolis force (physics).. Encyclopaedia Britannica (25 февраля 2008). Дата обращения: 7 мая 2009. Архивировано 22 июня 2012 года.
- Tropical cyclone: Tropical cyclone tracks.. Encyclopædia Britannica (25 февраля 2008). Дата обращения: 7 мая 2009. Архивировано 22 июня 2012 года.
- Национальная метеорологическая служба. Tropical Cyclone Introduction. JetStream — An Online School for Weather. Национальное управление океанических и атмосферных исследований (19 октября 2005). Дата обращения: 7 сентября 2010. Архивировано 22 июня 2012 года.
- How are tropical cyclones different to mid-latitude cyclones?. Frequently Asked Questions. Бюро метеорологии. Дата обращения: 31 марта 2006. Архивировано 4 мая 2008 года.
- Dr. Frank Marks. Fifth International Workshop on Tropical Cyclones Topic 1 Tropical Cyclone Structure and Structure Change. Atlantic Oceanographic and Meteorological Laboratory (27 января 2003). Дата обращения: 23 ноября 2009. Архивировано 22 июня 2012 года.
- Eric A. D'Asaro and Peter G. Black. J8.4 Turbulence in the Ocean Boundary Layer Below Hurricane Dennis (PDF) (недоступная ссылка). University of Washington (2006). Дата обращения: 22 февраля 2008. Архивировано 28 августа 2006 года.
- Hurricanes: Keeping an eye on weather's biggest bullies. (недоступная ссылка). University Corporation for Atmospheric Research (31 марта 2006). Дата обращения: 7 мая 2009. Архивировано 25 апреля 2009 года.
- Atlantic Oceanographic and Meteorological Laboratory, Hurricane Research Division. Frequently Asked Questions: When is hurricane season?. National Oceanic and Atmospheric Administration. Дата обращения: 25 июля 2006. Архивировано 22 июня 2012 года.
- Ross., Simon. Natural Hazards (неопр.). — Illustrated. — Nelson Thornes, 1998. — С. 96. — ISBN 0-7487-3951-3. — ISBN 978-0-7487-3951-6.
- Atlantic Oceanographic and Meteorological Laboratory, Hurricane Research Division. Frequently Asked Questions: How do tropical cyclones form?. National Oceanic and Atmospheric Administration. Дата обращения: 26 июля 2006. Архивировано 22 июня 2012 года.
- Atlantic Oceanographic and Meteorological Laboratory, Hurricane Research Division. Frequently Asked Questions: Why do tropical cyclones require 27 °C ocean temperatures to form?. National Oceanic and Atmospheric Administration. Дата обращения: 25 июля 2006. Архивировано 22 июня 2012 года.
- Kazuyoshi Kikuchi, Bin Wang, and Hironori Fudeyasu. Genesis of tropical cyclone Nargis revealed by multiple satellite observations (англ.) // Geophysical Research Letters : journal. — 2009. — Vol. 36. — P. L06811. — doi:10.1029/2009GL037296.
- Fritz Korek. Marine Meteorological Glossary. Marine Knowledge Centre (21 ноября 2000). Дата обращения: 6 мая 2009. Архивировано 22 июня 2012 года.
- Formation of Tropical Cyclones (недоступная ссылка). Philippine Atmospheric, Geophysical and Astronomical Services Administration (2008). Дата обращения: 6 мая 2009. Архивировано 22 июня 2012 года.
- DeCaria, Alex. Lesson 5 – Tropical Cyclones: Climatology.. ESCI 344 – Tropical Meteorology. Millersville University (2005). Дата обращения: 22 февраля 2008. Архивировано 7 мая 2008 года.
- Lixion Avila, Richard Pasch; Lixion A. Atlantic tropical systems of 1993 (англ.) // Monthly Weather Review : journal. — 1995. — March (vol. 123, no. 3). — P. 887—896. — doi:10.1175/1520-0493(1995)123<0887:ATSO>2.0.CO;2.
- Atlantic Oceanographic and Meteorological Laboratory, Hurricane Research Division. Frequently Asked Questions: What is an easterly wave?. National Oceanic and Atmospheric Administration. Дата обращения: 25 июля 2006. Архивировано 22 июня 2012 года.
- Chris Landsea. A Climatology of Intense (or Major) Atlantic Hurricanes (англ.) // Monthly Weather Review : journal. — 1993. — June (vol. 121, no. 6). — P. 1703—1713. — doi:10.1175/1520-0493(1993)121<1703:ACOIMA>2.0.CO;2.
- Neumann, Charles J. Worldwide Tropical Cyclone Tracks 1979-88 (недоступная ссылка). Global Guide to Tropical Cyclone Forecasting. Бюро метеорологии. Дата обращения: 12 декабря 2006. Архивировано 22 июня 2012 года.
- Tropical Cyclones and Global Climate Change: A Post-IPCC Assessment.. National Oceanic and Atmospheric Administration (8 октября 2002). Дата обращения: 7 мая 2009. Архивировано 22 июня 2012 года.
- Monthly Global Tropical Cyclone Summary, December 2001 (недоступная ссылка). Gary Padgett. Australian Severe Weather Index. Дата обращения: 6 мая 2009. Архивировано 23 июня 2012 года.
- Annual Tropical Cyclone Report 2004. Joint Typhoon Warning Center (2006). Дата обращения: 6 мая 2009. Архивировано 7 июня 2011 года.
- McAdie, Colin. Tropical Cyclone Climatology. Национальный центр прогнозирования ураганов США (10 мая 2007). Дата обращения: 9 июня 2007. Архивировано 23 июня 2012 года.
- Tropical Cyclone Operational Plan for the Southeastern Indian Ocean and the South Pacific Oceans. World Meteorological Organization (10 марта 2009). Дата обращения: 6 мая 2009. Архивировано 23 июня 2012 года.
- Atlantic Oceanographic and Meteorological Laboratory, Hurricane Research Division. Frequently Asked Questions: What are the average, most, and least tropical cyclones occurring in each basin?. National Oceanic and Atmospheric Administration. Дата обращения: 30 ноября 2006. Архивировано 23 июня 2012 года.
- Atlantic Oceanographic and Meteorological Laboratory, Hurricane Research Division. Frequently Asked Questions: What determines the movement of tropical cyclones?. National Oceanic and Atmospheric Administration. Дата обращения: 25 июля 2006. Архивировано 23 июня 2012 года.
- Baum, Steven K. The Glossary: Cn-Cz. (недоступная ссылка). Glossary of Oceanography and the Related Geosciences with References. Texas A&M University (20 января 1997). Дата обращения: 29 ноября 2006. Архивировано 23 июня 2012 года.
- Section 2: Tropical Cyclone Motion Terminology. United States Naval Research Laboratory (10 апреля 2007). Дата обращения: 7 мая 2009. Архивировано 23 июня 2012 года.
- Powell, Jeff, et al. Hurricane Ioke: 20–27 August 2006. 2006 Tropical Cyclones Central North Pacific. Central Pacific Hurricane Center (May 2007). Дата обращения: 9 июня 2007. Архивировано 23 июня 2012 года.
- Национальный центр прогнозирования ураганов США. Glossary of NHC/TPC Terms. National Oceanic and Atmospheric Administration (2005). Дата обращения: 29 ноября 2006. Архивировано 23 июня 2012 года.
- Fujiwhara effect describes a stormy waltz, USA Today (9 ноября 2007). Дата обращения 21 февраля 2008.
- Subject : C2) Doesn't the friction over land kill tropical cyclones?. Национальный центр прогнозирования ураганов США. National Oceanic and Atmospheric Administration (25 февраля 2008). Дата обращения: 7 мая 2009. Архивировано 23 июня 2012 года.
- Tropical Cyclones Affecting Inland Pilbara towns. (недоступная ссылка). Бюро метеорологии. Дата обращения: 7 мая 2009. Архивировано 23 июня 2012 года.
- Yuh-Lang Lin, S. Chiao, J. A. Thurman, D. B. Ensley, and J. J. Charney. Some Common Ingredients for heavy Orographic Rainfall and their Potential Application for Prediction. Retrieved on 2007-04-26.
- Национальный центр прогнозирования ураганов США. NHC Mitch Report Hurricane Mitch Tropical Cyclone Report (недоступная ссылка — NHC Mitch Report история ) (1998). Дата обращения: 20 апреля 2006.
- Joint Typhoon Warning Center. 1.13 Local Effects on the Observed Large-scale Circulations. Retrieved on 2008-02-25.
- Edwards, Jonathan. Tropical Cyclone Formation. HurricaneZone.net. Дата обращения: 30 ноября 2006. Архивировано 21 февраля 2007 года.
- Chih-Pei Chang. East Asian Monsoon (неопр.). — World Scientific, 2004. — ISBN 981-238-769-2.
- United States Naval Research Laboratory. Tropical Cyclone Intensity Terminology (недоступная ссылка). Tropical Cyclone Forecasters' Reference Guide (23 сентября 1999). Дата обращения: 30 ноября 2006. Архивировано 23 июня 2012 года.
- Rappaport, Edward N. Preliminary Report: Hurricane Iris: 22–4 August September 1995. Национальный центр прогнозирования ураганов США (2 ноября 2000). Дата обращения: 29 ноября 2006. Архивировано 23 июня 2012 года.
- African Dust Linked To Hurricane Strength. All Things Considered. National Public Radio (5 сентября 2008). Дата обращения: 7 мая 2009. Архивировано 23 июня 2012 года.
- Shultz, James M., Jill Russell and Zelde Espinel. Epidemiology of Tropical Cyclones: The Dynamics of Disaster, Disease, and Development (англ.) // Epidemiologic Reviews : journal. — 2005. — July (vol. 27, no. 1). — P. 21—25. — doi:10.1093/epirev/mxi011. — PMID 15958424.
- Staff Writer. Hurricane Katrina Situation Report #11 (PDF), Office of Electricity Delivery and Energy Reliability (OE) Министерство энергетики США (30 августа 2005). Архивировано 8 ноября 2006 года. Дата обращения 24 февраля 2007.
- David Roth and Hugh Cobb. Eighteenth Century Virginia Hurricanes (недоступная ссылка). NOAA (2001). Дата обращения: 24 февраля 2007. Архивировано 24 июня 2012 года.
- James M. Shultz, Jill Russell and Zelde Espinel. Epidemiology of Tropical Cyclones: The Dynamics of Disaster, Disease, and Development. Oxford Journal (2005). Дата обращения: 24 февраля 2007. Архивировано 24 июня 2012 года.
- Atlantic Oceanographic and Meteorological Laboratory, Hurricane Research Division. Frequently Asked Questions: Are TC tornadoes weaker than midlatitude tornadoes?. National Oceanic and Atmospheric Administration. Дата обращения: 25 июля 2006. Архивировано 24 июня 2012 года.
- National Oceanic and Atmospheric Administration. 2005 Tropical Eastern North Pacific Hurricane Outlook. Retrieved on 2006-05-02.
- Christopherson, Robert W. Geosystems: An Introduction to Physical Geography (англ.). — New York City: Macmillan Publishing Company, 1992. — P. 222—224. — ISBN 0-02-322443-6.
- Damage from climate change will be widespread and sometimes surprising, The Economist, May 16th 2020
- Atlantic Oceanographic and Meteorological Laboratory, Hurricane Research Division. Frequently Asked Questions: What regions around the globe have tropical cyclones and who is responsible for forecasting there?. NOAA. Дата обращения: 25 июля 2006. Архивировано 24 июня 2012 года.
- Chris Landsea. Climate Variability table — Tropical Cyclones. Atlantic Oceanographic and Meteorological Laboratory, National Oceanic and Atmospheric Administration. Дата обращения: 19 октября 2006. Архивировано 24 июня 2012 года.
- Marcelino, Emerson Vieira; Isabela Pena Viana de Oliveira Marcelino; Frederico de Moraes Rudorff. Cyclone Catarina: Damage and Vulnerability Assessment (PDF) (недоступная ссылка). Santa Catarina Federal University (2004). Дата обращения: 24 декабря 2006. Архивировано 24 июня 2012 года.
- Regional Specialized Meteorological Center. Tropical Cyclone Program (TCP). World Meteorological Organization (25 апреля 2006). Дата обращения: 5 ноября 2006.
- Joint Typhoon Warning Center Mission Statement.. Joint Typhoon Warning Center (9 ноября 2007). Дата обращения: 7 мая 2009. Архивировано 9 апреля 2008 года.
- Mission Vision (недоступная ссылка). Philippine Atmospheric, Geophysical and Astronomical Services Administration (24 февраля 2008). Дата обращения: 7 мая 2009. Архивировано 24 июня 2012 года.
- Canadian Hurricane Center (недоступная ссылка). Canadian Hurricane Center (24 февраля 2008). Дата обращения: 7 мая 2009. Архивировано 24 июня 2012 года.
- Florida Coastal Monitoring Program. Project Overview. University of Florida. Дата обращения: 30 марта 2006. Архивировано 3 мая 2006 года.
- Observations. Central Pacific Hurricane Center (9 декабря 2006). Дата обращения: 7 мая 2009. Архивировано 24 июня 2012 года.
- 403rd Wing. The Hurricane Hunters. 53rd Weather Reconnaissance Squadron. Дата обращения: 30 марта 2006. Архивировано 24 июня 2012 года.
- Lee, Christopher. Drone, Sensors May Open Path Into Eye of Storm, The Washington Post. Дата обращения 22 февраля 2008.
- Influences on Tropical Cyclone Motion (недоступная ссылка). United States Navy. Дата обращения: 10 апреля 2007. Архивировано 24 июня 2012 года.
- Национальный центр прогнозирования ураганов США. Annual average model track errors for Atlantic basin tropical cyclones for the period 1994-2005, for a homogeneous selection of "early" models. National Hurricane Center Forecast Verification. National Oceanic and Atmospheric Administration (22 мая 2006). Дата обращения: 30 ноября 2006. Архивировано 24 июня 2012 года.
- Национальный центр прогнозирования ураганов США. Annual average official track errors for Atlantic basin tropical cyclones for the period 1989-2005, with least-squares trend lines superimposed. National Hurricane Center Forecast Verification. National Oceanic and Atmospheric Administration (22 мая 2006). Дата обращения: 30 ноября 2006. Архивировано 24 июня 2012 года.
- Atlantic Oceanographic and Meteorological Laboratory, Hurricane Research Division. Frequently Asked Questions: What are the upcoming tropical cyclone names?. National Oceanic and Atmospheric Administration. Дата обращения: 11 декабря 2006. Архивировано 24 июня 2012 года.
- Bouchard, R. H. A Climatology of Very Intense Typhoons: Or Where Have All the Super Typhoons Gone? (PPT) (April 1990). Дата обращения: 5 декабря 2006. Архивировано 16 марта 2007 года.
- Atlantic Oceanographic and Meteorological Laboratory, Hurricane Research Division. Frequently Asked Questions: Which is the most intense tropical cyclone on record?. NOAA. Дата обращения: 25 июля 2006. Архивировано 24 июня 2012 года.
- Фасмер М. Этимологический словарь русского языка. — Прогресс. — М., 1964–1973. — Т. 4. — С. 12.
- Atlantic Oceanographic and Meteorological Laboratory, Hurricane Research Division. Frequently Asked Questions: What is the origin of the word "hurricane"?. National Oceanic and Atmospheric Administration. Дата обращения: 25 июля 2006. Архивировано 24 июня 2012 года.
- Национальный центр прогнозирования ураганов США. Subject: A1) What is a hurricane, typhoon, or tropical cyclone? Retrieved on 2008-02-25.
- Бюро метеорологии. Global Guide to Tropical Cyclone Forecasting Retrieved on 2008-02-25.
- Worldwide Tropical Cyclone Names.. Национальный центр прогнозирования ураганов США. National Oceanic and Atmospheric Administration (2009). Дата обращения: 7 мая 2009. Архивировано 24 июня 2012 года.
- Pielke, Roger A., Jr.; et al. Normalized Hurricane Damage in the United States: 1900–2005 (англ.) // Natural Hazards Review : journal. — 2008. — Vol. 9, no. 1. — P. 29—42. — doi:10.1061/(ASCE)1527-6988(2008)9:1(29). Архивировано 25 марта 2009 года.
- Chris Landsea, et al. Can We Detect Trends in Extreme Tropical Cyclones? (англ.) // Science. — 2006. — 28 July (vol. 313, no. 5786). — P. 452—454. — doi:10.1126/science.1128448. — PMID 16873634.
- Kerry Emanuel. Anthropogenic Effects on Tropical Cyclone Activity (January 2006). Дата обращения: 30 марта 2006. Архивировано 24 июня 2012 года.
- Webster, P. J., G. J. Holland, J. A. Curry and H.-R. Chang. Changes in Tropical Cyclone Number, Duration, and Intensity in a Warming Environment (англ.) // Science : journal. — 2005. — 16 September (vol. 309, no. 5742). — P. 1844—1846. — doi:10.1126/science.1116448. — PMID 16166514.
- Hurricanes are getting fiercer Nature, Retrieved on 4 September 2008.
- Summary Statement on Tropical Cyclones and Climate Change (PDF), World Meteorological Organization (4 декабря 2006). Архивировано 25 марта 2009 года. Дата обращения 7 мая 2009.
- Pielke, R. A. Jr. Meteorology: Are there trends in hurricane destruction? (англ.) // Nature : journal. — 2005. — Vol. 438, no. 7071. — P. E11. — doi:10.1038/nature04426. — PMID 16371954.
- Pielke, Roger A., Jr.; et al. Normalized Hurricane Damage in the United States: 1900–2005 (англ.) // Natural Hazards Review : journal. — 2008. — Vol. 9, no. 1. — P. 29—42. — doi:10.1061/(ASCE)1527-6988(2008)9:1(29). Архивировано 25 марта 2009 года.
- Risk Management Solutions. U.S. and Caribbean Hurricane Activity Rates. (PDF) (недоступная ссылка) (March 2006). Дата обращения: 30 ноября 2006. Архивировано 24 июня 2012 года.
- Center for Climate Systems Research. Hurricanes, Sea Level Rise, and New York City. Columbia University. Дата обращения: 29 ноября 2006. Архивировано 2 января 2007 года.
- Neumann, Charles J. 1.3: A Global Climatology (недоступная ссылка). Global Guide to Tropical Cyclone Forecasting. Бюро метеорологии. Дата обращения: 30 ноября 2006. Архивировано 24 июня 2012 года.
- Nyberg, J.; Winter, A.; Malmgren, B. A. Reconstruction of Major Hurricane Activity (англ.) // Eos Trans. AGU : journal. — 2005. — Vol. 86, no. 52, Fall Meet. Suppl.. — P. Abstract PP21C—1597. Архивировано 21 февраля 2009 года.
- Liu, Kam-biu (1999). «Millennial-scale variability in catastrophic hurricane landfalls along the Gulf of Mexico coast» in 23rd Conference on Hurricanes and Tropical Meteorology.: 374–377, Dallas, Texas, United States of America: American Meteorological Society.
- Liu, Kam-biu; Fearn, Miriam L. Reconstruction of Prehistoric Landfall Frequencies of Catastrophic Hurricanes in Northwestern Florida from Lake Sediment Records (англ.) // Quaternary Research : journal. — 2000. — Vol. 54, no. 2. — P. 238—245. — doi:10.1006/qres.2000.2166.
- Elsner, James B.; Liu, Kam-biu; Kocher, Bethany. Spatial Variations in Major U.S. Hurricane Activity: Statistics and a Physical Mechanism (англ.) // Journal of Climate : journal. — 2000. — Vol. 13, no. 13. — P. 2293—2305. — doi:10.1175/1520-0442(2000)013<2293:SVIMUS>2.0.CO;2.
- Higuera-Gundy, Antonia; et al. A 10,300 14C yr Record of Climate and Vegetation Change from Haiti (англ.) // Quaternary Research : journal. — 1999. — Vol. 52, no. 2. — P. 159—170. — doi:10.1006/qres.1999.2062.
- Geophysical Fluid Dynamics Laboratory. Global Warming and Hurricanes (недоступная ссылка). National Oceanic and Atmospheric Administration. Дата обращения: 29 ноября 2006. Архивировано 24 июня 2012 года.
- Richard Alley, et al. Contribution of Working Group I to the Fourth Assessment Report of the Intergovernmental Panel on Climate Change. United Nations (2007). Дата обращения: 23 февраля 2007. Архивировано 24 июня 2012 года.
- Emanuel, Kerry. Increasing destructiveness of tropical cyclones over the past 30 years (англ.) // Nature : journal. — 2005. — Vol. 436, no. 7051. — P. 686—688. — doi:10.1038/nature03906. — PMID 16056221.
- http://ams.allenpress.com/archive/1520-0477/89/3/pdf/i1520-0477-89-3-347.pdf (недоступная+ссылка)
- Berger, Eric. Hurricane expert reconsiders global warming's impact, Houston Chronicle (12 апреля 2008). Дата обращения 31 июля 2010.
- Knutson, Thomas R. and Robert E. Tuleya. Impact of CO2-Induced Warming on Simulated Hurricane Intensity and Precipitation: Sensitivity to the Choice of Climate Model and Convective Parameterization (англ.) // Journal of Climate : journal. — 2004. — Vol. 17, no. 18. — P. 3477—3494. — doi:10.1175/1520-0442(2004)017<3477:IOCWOS>2.0.CO;2.
- Atlantic Oceanographic and Meteorological Laboratory, Hurricane Research Division. Frequently Asked Questions: How do tropical cyclones form?. NOAA. Дата обращения: 26 июля 2006. Архивировано 22 июня 2012 года.
- Atlantic Oceanographic and Meteorological Laboratory, Hurricane Research Division. Frequently Asked Questions: What may happen with tropical cyclone activity due to global warming?. NOAA. Дата обращения: 8 января 2011. Архивировано 24 июня 2012 года.
- American Meteorological Society; Droegemeier, Kelvin K.; Levit, Jason J.; Sinclair, Carl; Jahn, David E.; Hill, Scott D.; Mueller, Lora; Qualley, Grant; Crum, Tim D. Climate Change: An Information Statement of the American Meteorological Society (англ.) // Bulletin of the American Meteorological Society : journal. — 2007. — 1 February (vol. 88). — P. 5. — doi:10.1175/BAMS-88-7-Kelleher. Архивировано 7 января 2010 года.
- World Meteorological Organization. Statement on Tropical Cyclones and Climate Change (PDF) (недоступная ссылка) 6 (11 декабря 2006). Дата обращения: 2 июня 2007. Архивировано 24 июня 2012 года.
- Stefan Rahmstorf, Michael E. Mann, Rasmus Benestad, Gavin Schmidt and William Connolley. Hurricanes and Global Warming — Is There a Connection?. RealClimate (2 сентября 2005). Дата обращения: 20 марта 2006.
- Раскрыто новое катастрофическое последствие изменения климата: Наука: Наука и техника: Lenta.ru
- Joint Typhoon Warning Center. 3.3 JTWC Forecasting Philosophies. United States Navy (2006). Дата обращения: 11 февраля 2007. Архивировано 22 июня 2012 года.
- M. C. Wu, W. L. Chang, and W. M. Leung. Impacts of El Nino-Southern Oscillation Events on Tropical Cyclone Landfalling Activity in the Western North Pacific (англ.) // Journal of Climate : journal. — 2003. — Vol. 17, no. 6. — P. 1419—1428. — doi:10.1175/1520-0442(2004)017<1419:IOENOE>2.0.CO;2.
- Pacific ENSO Applications Climate Center. Pacific ENSO Update: 4th Quarter, 2006. Vol. 12 No. 4 (недоступная ссылка). Дата обращения: 19 марта 2008. Архивировано 24 июня 2012 года.
- Edward N. Rappaport. Atlantic Hurricane Season of 1997 (англ.) // Monthly Weather Review : journal. — 1999. — September (vol. 127). — P. 2012.
- Waymer, Jim. Researchers:Fewer sunspots, more storms, Melbourne, Florida: Florida Today (1 июня 2010), С. 1A.
- Chris Landsea. Which tropical cyclones have caused the most deaths and most damage?. Hurricane Research Division (1993). Дата обращения: 23 февраля 2007. Архивировано 24 июня 2012 года.
- Lawson. South Asia: A history of destruction, British Broadcasting Corporation (2 ноября 1999). Дата обращения 23 февраля 2007.
- Frank, Neil L. and S. A. Husain. The Deadliest Tropical Cyclone in History (англ.) // Bulletin of the American Meteorological Society : journal. — 1971. — June (vol. 52, no. 6). — P. 438—445. — doi:10.1175/1520-0477(1971)052<0438:TDTCIH>2.0.CO;2. Архивировано 24 июня 2007 года.
- Linda J. Anderson-Berry. Fifth International Workshop on Tropycal Cyclones: Topic 5.1: Societal Impacts of Tropical Cyclones. Retrieved on 2008-02-26.
- Национальный центр прогнозирования ураганов США. The Deadliest Atlantic Tropical Cyclones, 1492-1996. National Oceanic and Atmospheric Administration (22 апреля 1997). Дата обращения: 31 марта 2006. Архивировано 24 июня 2012 года.
- Национальный центр прогнозирования ураганов США. Galveston Hurricane 1900. Retrieved on 2008-02-24.
- Joint Typhoon Warning Center. Typhoon Thelma (27W) (PDF) (недоступная ссылка). 1991 Annual Tropical Cyclone Report. Дата обращения: 31 марта 2006. Архивировано 27 января 2010 года.
- Gunther, E. B., R.L. Cross, and R.A. Wagoner. Eastern North Pacific Tropical Cyclones of 1982 (англ.) // Monthly Weather Review : journal. — 1983. — May (vol. 111, no. 5). — P. 1080. — doi:10.1175/1520-0493(1983)111<1080:ENPTCO>2.0.CO;2.
- Earth Policy Institute. Hurricane Damages Sour to New Levels (недоступная ссылка). United States Department of Commerce (2006). Дата обращения: 23 февраля 2007. Архивировано 28 сентября 2006 года.
- Knabb, Richard D., Jamie R. Rhome and Daniel P. Brown. Tropical Cyclone Report: Hurricane Katrina: 23–30 August 2005 (PDF). Национальный центр прогнозирования ураганов США (20 декабря 2005). Дата обращения: 30 мая 2006. Архивировано 25 августа 2011 года.
- George M. Dunnavan & John W. Dierks. An Analysis of Super Typhoon Tip (October 1979) (PDF). Joint Typhoon Warning Center (1980). Дата обращения: 24 января 2007. Архивировано 24 июня 2012 года.
- Ferrell, Jesse. Hurricane Mitch. Weathermatrix.net (26 октября 1998). Дата обращения: 30 марта 2006. Архивировано 28 сентября 2007 года.
- NHC Hurricane Research Division. Atlantic hurricane best track ("HURDAT"). NOAA (17 февраля 2006). Дата обращения: 22 февраля 2007. Архивировано 24 июня 2012 года.
- Houston, Sam, Greg Forbes and Arthur Chiu. Super Typhoon Paka's (1997) Surface Winds Over Guam. Национальная метеорологическая служба (17 августа 1998). Дата обращения: 30 марта 2006. Архивировано 24 июня 2012 года.
- Neal Dorst. Subject: E5) Which are the largest and smallest tropical cyclones on record?. Национальный центр прогнозирования ураганов США (29 мая 2009). Дата обращения: 29 мая 2009. Архивировано 24 июня 2012 года.
- Neal Dorst. Which tropical cyclone lasted the longest?. Hurricane Research Division (2006). Дата обращения: 23 февраля 2007. Архивировано 24 июня 2012 года.
- Neal Dorst. What is the farthest a tropical cyclone has traveled ?. Hurricane Research Division (2006). Дата обращения: 23 февраля 2007. Архивировано 24 июня 2012 года.
- Сильнейший ураган «Патрисия» обрушился на Мексику. Интернет-портал «Российской газеты» (24 октября 2015). Дата обращения: 2 октября 2012.
Ссылки
- Имена ураганов // РИА Новости, 2005
- Тропические циклоны в 2013 году. Meteoinfo.ru
- Тропические циклоны :: Институт географии РАН
- Статья «Тропический циклон» // Метеорологический Словарь
- Tropical Storm Risk — Глобальная система предсказания и слежения за тропическими циклонами (англ.)
- FAQ о тропических циклонах. Meteoweb.ru


